Signed in as:
filler@godaddy.com
Signed in as:
filler@godaddy.com

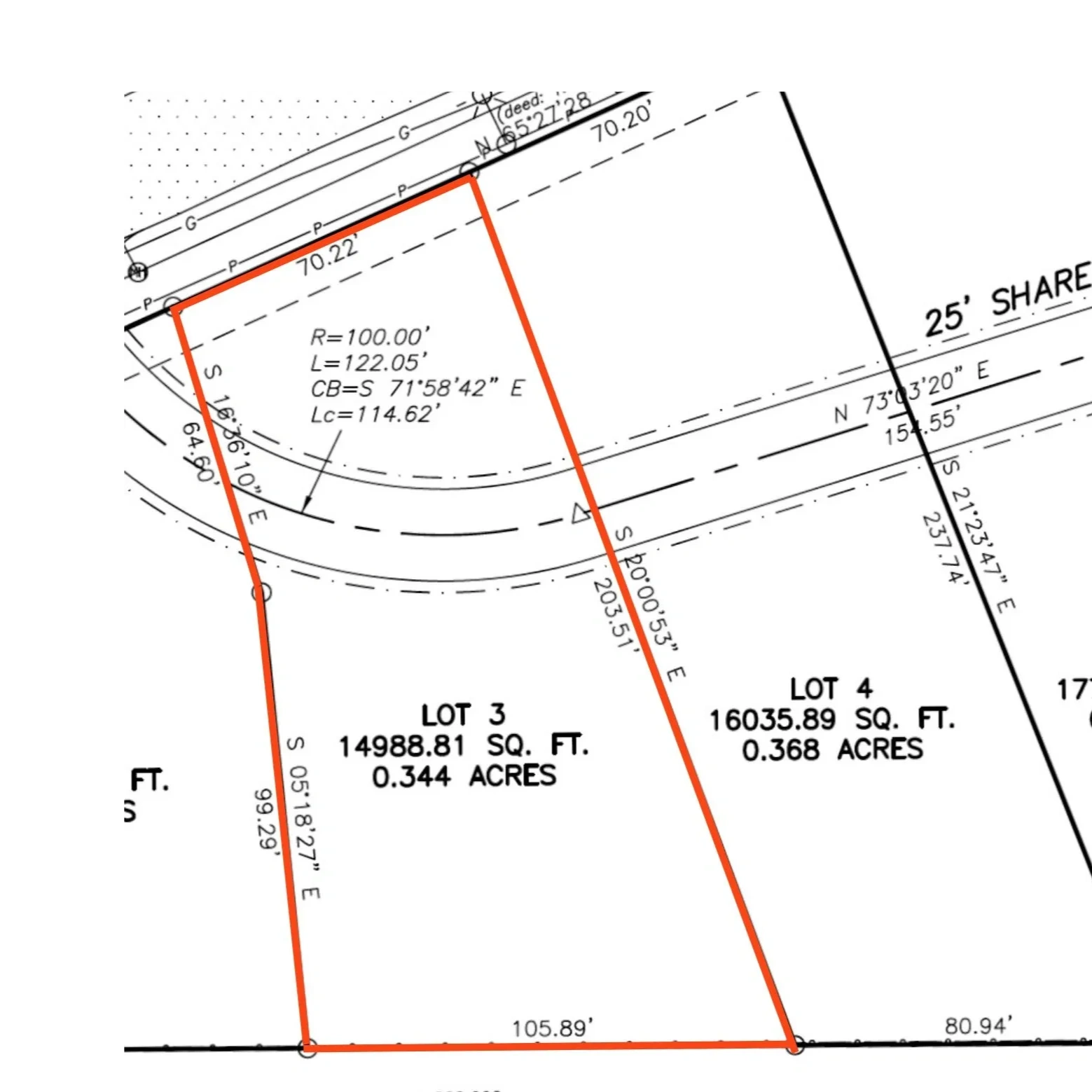
Lot 3 is 0.34 acres. It has been cleared and graded, giving future owners a meaningful head start on construction. Bring your own builder, or choose to be connected with the builder who crafted the existing homes within the community.
Finding the perfect home is a journey, and Haley Zeigler is here to guide you every step of the way. With over 18 years of experience in the industry, she is a dedicated professional committed to providing exceptional service tailored to your needs. Her deep knowledge of the Auburn market ensures you receive expert insights to make confident, informed decisions.
Join Haley and discover the stunning homes of Annalue Ridge, a thoughtfully designed community offering luxury living in Auburn, Alabama.
To learn more or schedule a private tour, contact Haley at 334-707-2117 or haley@haleyzeigler.com.

Haley Zeigler | Associate Broker, Realtor
AL License #88667
The Talons Group